Sie haben eine Immobilie und möchten sie in separate Wohneinheiten aufteilen sowie diese dann einzeln verkaufen? Dafür brauchen Sie in jedem Fall eine Ab­ge­schlos­sen­heits­be­schei­ni­gung. Wie Sie den Antrag stellen und welche Unterlagen Sie dafür benötigen, erläutern wir Ihnen in diesem Beitrag. Außerdem informieren wir Sie über die nötigen Voraussetzungen und Kosten, mit denen Sie rechnen müssen.

Neubau Mehrfamilienhaus mit abgeschlossenen Wohneinheiten
Die Ab­ge­schlos­sen­heits­be­schei­ni­gung ist mit dem Aufteilungsplan die Voraussetzung für die Aufteilung einer Immobilie in separate Ei­gen­tums­woh­nun­gen.

Das Wichtigste in Kürze

  • Eine Ab­ge­schlos­sen­heits­be­schei­ni­gung bestätigt, dass Immobilien wie Mehr­par­tei­en­häu­ser über separate, abgeschlossene Wohneinheiten verfügen.
  • Die Ab­ge­schlos­sen­heits­be­schei­ni­gung wird bei der Aufteilung eines Ein­fa­mi­li­en­hau­ses in separate Ei­gen­tums­woh­nun­gen benötigt sowie beim Neubau von Mehr­fa­mi­li­en­häu­sern.
  • Die Bescheinigung wird bei der Bau­auf­sichts­be­hör­de durch Antragstellung und Einreichung relevanter Unterlagen erwirkt. Dazu sind mindestens ein formloser Antrag sowie ein detaillierter Aufteilungs- und Lageplan erforderlich.
  • Voraussetzungen für die Ab­ge­schlos­sen­heit sind, dass es sich um eine einzeln gekennzeichnete, baulich abgegrenzte, abschließbare Wohneinheit mit direktem Zugang sowie zu Wohnzwecken nötige Ausstattung (WC, Bad, Kochgelegenheit) handelt.
  • Für eine Ab­ge­schlos­sen­heits­be­schei­ni­gung fallen in der Regel Gebühren zwischen 50 und 150 Euro an.
Logo von ausgezeichnet.org

André Heid
Zertifizierte Im­mo­bi­li­en­gut­ach­ter nach DIN 17024 von TÜV, DEKRA, IHK, DIA und EIPOS bewerten Ihre Immobilie sachgemäß.

Was ist eine Ab­ge­schlos­sen­heits­be­schei­ni­gung

Eine Ab­ge­schlos­sen­heits­be­schei­ni­gung – der Begriff Ab­ge­schlos­sen­heits­er­klä­rung ist ebenso gebräuchlich – dokumentiert, dass in einem Mehr­par­tei­en­haus einzelne Wohneinheiten voneinander abgegrenzt sind. Sie bestätigt, dass sämtliche Wohneinheiten eines Gebäudes baulich vollständig voneinander getrennt sind.

Die Ab­ge­schlos­sen­heits­be­schei­ni­gung gehört zusammen mit dem Aufteilungsplan zur Tei­lungs­er­klä­rung. Dies ist eine Voraussetzung für die Aufteilung eines Gebäudes in Ei­gen­tums­woh­nun­gen und/oder Teileigentum und wird benötigt, um jede einzelne Einheit im Grundbuch eintragen zu lassen.

Rechtliche gründet sich die Ab­ge­schlos­sen­heits­be­schei­ni­gung auf § 7 im Woh­nungs­ei­gen­tums­ge­setz (WEG).

herr-heid-zitat

Wer eine Wohnung rechtssicher verkaufen oder beleihen will, braucht eine Ab­ge­schlos­sen­heits­be­schei­ni­gung. Sie schafft die formale Grundlage für Sondereigentum.

Dipl. Ing. André Heid M.Sc.

Wann ist eine Ab­ge­schlos­sen­heits­be­schei­ni­gung notwendig?

Eine Ab­ge­schlos­sen­heits­be­schei­ni­gung ist immer dann nötig, wenn es um den Bau neuer Ei­gen­tums­woh­nun­gen oder um die Aufteilung eines Mehr­fa­mi­li­en­hau­ses in einzelne Ei­gen­tums­woh­nun­gen geht, die getrennt verkauft werden sollen. Zur Umwandlung in separate Einheiten müssen Miteigentümer und Sondereigentum im Grundbuch eingetragen werden. Für die Eintragung brauchen Sie ebenfalls eine Ab­ge­schlos­sen­heits­be­schei­ni­gung.

Wichtig: Ohne Ab­ge­schlos­sen­heits­be­schei­ni­gung kann ein Mehr­fa­mi­li­en­haus nur als Ganzes verkauft werden! Sie ist allerdings lediglich erforderlich, wenn tatsächlich der Verkauf geplant ist, nicht aber bei Vermietung einzelner Wohnungen.

Selbst wenn zunächst nur eine Vermietung vorgesehen ist, ist es unter Umständen dennoch sinnvoll, sich frühzeitig um eine Aufteilung zu bemühen. Für den Fall, dass in Zukunft die Absicht entsteht, das Eigentum doch zu verkaufen, ist damit eine wichtige Grund­vor­aus­set­zung schon geschaffen.

Für Käufer ist die Ab­ge­schlos­sen­heits­be­schei­ni­gung insofern relevant, als sie diese zur Beantragung eines Kredits vorlegen müssen. Da die Bank die Immobilie als Sicherheit für ihr Darlehen nimmt, wird sie auch ins Grundbuch eingetragen. Die Eintragung ist nur mit einer Ab­ge­schlos­sen­heits­be­schei­ni­gung möglich.

Ab­ge­schlos­sen­heits­be­schei­ni­gung: Voraussetzungen, die Sie erfüllen müssen

Die Ab­ge­schlos­sen­heits­be­schei­ni­gung und der Aufteilungsplan sind notwendige Bestandteile der Tei­lungs­er­klä­rung. Der Aufteilungsplan zeigt, wie das Gebäude aufgeteilt ist, sowie die Lage und Größe des Sondereigentums und des Ge­mein­schafts­ei­gen­tums. Der Aufteilungsplan muss von der Baubehörde unterzeichnet und gesiegelt oder gestempelt werden.

In der Ab­ge­schlos­sen­heits­be­schei­ni­gung muss die Baubehörde bestätigen, dass die Wohnungen oder sonstigen Räume in sich abgeschlossen sind. Damit die Bau­auf­sichts­be­hör­de diese Bescheinigung ausstellt, müssen Sie einige Voraussetzungen erfüllen.

Folgende Voraussetzungen für eine Auf­tei­lungs­be­schei­ni­gung müssen Sie erfüllen:

Jede Einheit

  • ist baulich durch Wände, Decken und Böden von den anderen abgegrenzt
  • hat einen separaten Eingang beziehungsweise Zugang ins Treppenhaus oder ins Freie
  • ist einzeln durch eine Nummer gekennzeichnet
  • ist abschließbar
  • hat mindestens ein WC und ein Bad
  • hat mindestens eine Küche beziehungsweise Küchenzeile

Übrigens müssen Wohnungen oder Ladengeschäfte nicht auf ein Stockwerk begrenzt sein. Sie können übereinander liegen und durch eine Treppe verbunden sein. Wichtig ist nur, dass sie in sich von den anderen Einheiten abgeschlossen sind.

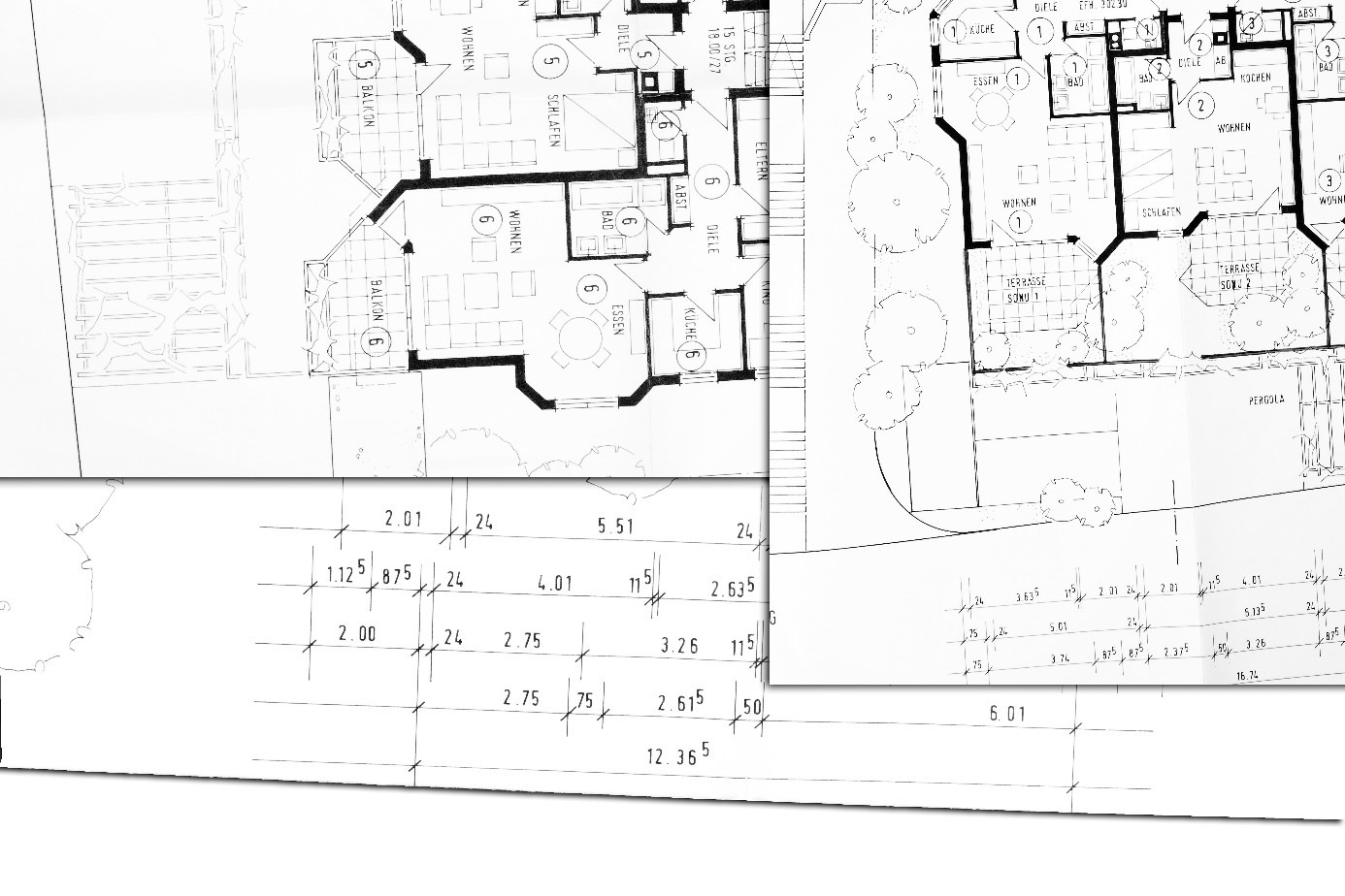
Aufteilungsplan für Abgeschlossenheitsbescheinigung
Für die Ab­ge­schlos­sen­heits­be­schei­ni­gung brauchen Sie unter anderem eine Bauzeichnung, in der die einzelnen, abgeschlossenen Einheiten klar erkennbar sind.

Antrag auf Ab­ge­schlos­sen­heits­be­schei­ni­gung

Wie die meisten amtlichen Dokumente müssen Sie auch eine Ab­ge­schlos­sen­heits­be­schei­ni­gung selbst beantragen. Viele Landratsämter, Gemeinden und Städte stellen dafür ein Formular zur Verfügung, das Sie verwenden können.

Wie und wo muss die Ab­ge­schlos­sen­heits­be­schei­ni­gung beantragt werden?

Um eine Ab­ge­schlos­sen­heits­be­schei­ni­gung zu erhalten, müssen Sie einen schriftlichen, aber formlosen Antrag bei der unteren Bau­auf­sichts­be­hör­de stellen. Diese Baubehörde befindet sich je nach Größe des Ortes bei den großen Kreisstädten, kreisfreien Städten oder beim jeweiligen Landratsamt.

Auf Ihren Antrag hin prüft die Behörde anhand der eingereichten Unterlagen, ob alle Anforderungen erfüllt sind. Ist dies der Fall, bescheinigt sie die Ab­ge­schlos­sen­heit der einzelnen Wohnungen oder Räumlichkeiten.

Welche Unterlagen werden dafür benötigt?

Zusätzlich zum Antrag müssen Sie alle erforderlichen Unterlagen bei der Bau­auf­sichts­be­hör­de einreichen. Die meisten der folgenden Dokumente erhalten Bauherren im Laufe der Bauplanung ohnehin, so dass hierfür wenig zusätzlicher Aufwand anfällt.

Folgende Dokumente zum Antrag auf Ab­ge­schlos­sen­heits­be­schei­ni­gung müssen Sie einreichen:

  • Formloser Antrag oder Formular zur Erteilung einer Ab­ge­schlos­sen­heits­be­schei­ni­gung
  • Detaillierter Aufteilungsplan (Bauzeichnung mit Grundriss, in dem abgeschlossene Einheiten, Sondereigentum, Ge­mein­schafts­ei­gen­tum und Teileigentum gekennzeichnet und ersichtlich sind), mindestens in zweifacher Ausfertigung
  • Aktueller Lageplan aller geplanten und bestehenden Gebäudeteile
  • Gegebenenfalls eine Erklärung, dass der Aufteilungsplan mit vorhandenem Gebäudebestand beziehungsweise dem Planungsstand bei Neubauten übereinstimmt

Tipp: Erkundigen Sie sich vorab gezielt bei der zuständigen Bau­auf­sichts­be­hör­de, welche Unterlagen Sie konkret einreichen müssen. Das kann nämlich von einer Behörde zur anderen unterschiedlich sein.

Wer kann die Ab­ge­schlos­sen­heits­be­schei­ni­gung beantragen?

Den Antrag auf eine Ab­ge­schlos­sen­heits­be­schei­ni­gung können folgende Personen stellen:

  • Grund­stücks­ei­gen­tü­mer, einzeln oder gemeinsam
  • Erb­bau­be­rech­tig­te, einzeln oder gemeinsam
  • jeder, der ein rechtliches Interesse an der Bescheinigung nachweisen kann
  • Personen, die eine Ein­ver­ständ­nis­er­klä­rung eines der oben genannten An­trags­be­rech­tig­ten vorweisen können

Bitte beachten: Die Bescheinigung der Ab­ge­schlos­sen­heit kann für geplante Gebäude frühestens nach Erteilung der Baugenehmigung oder nach Durchlaufen des Frei­stel­lungs­ver­fah­rens erteilt werden.

Wie viel kostet eine Ab­ge­schlos­sen­heits­be­schei­ni­gung?

Wie bei allen baulichen Vorgängen kommen für die Ab­ge­schlos­sen­heits­be­schei­ni­gung Kosten auf Sie zu. Diese halten sich aber im Rahmen verglichen mit anderen Posten. Die einzureichenden Dokumente werden schon im Zuge der Bauplanung von einem Architekten oder Bauzeichner erstellt. Dafür fallen also keine zusätzlichen Kosten an. Sollte die für das Bauvorhaben angefertigte Bauzeichnung nicht detailliert genug sein, müssen Sie einen entsprechenden Aufteilungsplan erstellen lassen.

Die Gebühren für die Bearbeitung des Antrags und die Erteilung der Ab­ge­schlos­sen­heits­be­schei­ni­gung sind je nach Gemeinde unterschiedlich: in der Regel bewegen sie sich zwischen 25 und 150 Euro je Son­der­ei­gen­tums­ein­heit. Das ist abhängig vom Umfang des Bauvorhabens.

Bedenken Sie, dass die Ab­ge­schlos­sen­heits­be­schei­ni­gung nur der erste Schritt ist. Sobald sie diese aber von der Behörde erhalten haben – die Be­ar­bei­tungs­dau­er hängt von der jeweiligen Behörde ab – können Sie damit zum Notar gehen. Dieser stellt die Tei­lungs­er­klä­rung aus und veranlasst die Eintragung ins Grundbuch. Das bedeutet, dass hier noch Notarkosten entstehen, die sich gemäß Gerichts- und No­tar­kos­ten­ge­setz (GNotKG) nach dem Gesamtwert der Immobilie richten.

Haben Sie Fragen zur Wertermittlung Ihrer Immobilie? Wir beraten Sie gerne in einem kostenlosen Erstgespräch.

Worauf muss ich bei der Ab­ge­schlos­sen­heits­er­klä­rung achten?

Der Antrag für die Ab­ge­schlos­sen­heits­be­schei­ni­gung ist schnell gestellt. Allerdings gibt ein paar Dinge, die Sie dabei bedenken sollten, damit Sie im Nachhinein nicht auf unnötige Probleme stoßen.

Räume außerhalb der abgeschlossenen Wohnung: Garagen, Keller, Speicher, Balkone und Terrassen

Die Ab­ge­schlos­sen­heits­er­klä­rung bescheinigt Ihnen als Eigentümer, dass es sich bei der Immobilie um abgeschlossene Einheiten handelt. Meist gehören zu einer Wohneinheit noch weitere Räume, die nicht unmittelbar zu Wohnzwecken genutzt werden – Keller, Speicher, Dachböden, Garagen oder Stellplätze. Dieses Teileigentum sollte in die Ab­ge­schlos­sen­heits­be­schei­ni­gung mitaufgenommen werden. Dazu müssen sie im Aufteilungsplan eindeutig einer Wohneinheit zugeordnet sein, etwa durch eine entsprechende Nummerierung.

Ebenso verhält es sich mit Balkonen und Terrassen. Diese sind zwar nicht von Wänden umschlossen, gehören aber dennoch zum Sondereigentum in einem Mehr­fa­mi­li­en­haus. Berücksichtigen Sie also auch diese „Räume“ im Aufteilungsplan.

Modernes Mehrfamilienhaus Wohnungen, Terrassen, Balkonen als Sondereigentum
Im Aufteilungsplan werden alle „Räume“ eindeutig einer abgeschlossenen Wohneinheit zugeordnet – inklusive Balkone, Terrassen oder Stellplätze.

Wie wird der Antrag auf Ab­ge­schlos­sen­heits­be­schei­ni­gung geprüft?

Die Bau­auf­sichts­be­hör­de prüft den Antrag ausschließlich nach Woh­nungs­ei­gen­tums­ge­setz in Hinblick auf die Ab­ge­schlos­sen­heit der einzelnen Einheiten. Dabei findet keine baurechtliche Prüfung statt. Dafür ist ein Antrag auf Baugenehmigung beziehungsweise ein Frei­stel­lungs­ver­fah­ren nötig.

Die Bauaufsicht überprüft in der Regel nicht, ob der Aufteilungsplan mit dem tatsächlichen Planungsstand beziehungsweise Zustand übereinstimmt. Manche Behörden verlangen daher zusätzlich eine schriftliche Erklärung des Antragstellers, dass der Aufteilungsplan dem vorhandenen Gebäudebestand beziehungsweise dem Planungsstand bei Neubauten entspricht. Für die Richtigkeit aller Angaben sind Sie als Antragsteller verantwortlich.

Ab­ge­schlos­sen­heits­be­schei­ni­gung ohne Baugenehmigung?

Beachten Sie besonders, dass eine Ab­ge­schlos­sen­heits­er­klä­rung keinerlei baurechtliche Auswirkung hat. Das bedeutet, dass eine solche Bescheinigung nicht mit der Genehmigung baulicher Maßnahmen einhergeht. Kurzum: eine Ab­ge­schlos­sen­heits­be­schei­ni­gung ist keine Baugenehmigung für Neubauten.

Vielmehr ist die Baugenehmigung eine Voraussetzung, dass überhaupt die Ab­ge­schlos­sen­heit bescheinigt werden kann. Als Antragsteller sind Sie für die Baugenehmigung ebenso verantwortlich wie für die Tei­lungs­er­klä­rung und den Aufteilungsplan. Lediglich bei bestehenden Immobilien, die in einzelne Wohneinheiten aufgeteilt werden sollen, ist für die Ab­ge­schlos­sen­heits­er­klä­rung keine Baugenehmigung vorausgesetzt.

Antrag auf Baugenehmigung
Eine Ab­ge­schlos­sen­heits­be­schei­ni­gung ersetzt keine Baugenehmigung.

Kauf oder Verkauf von Wohneigentum – optimale Beratung bei Heid Immobilien

Sie möchten eine abgeschlossene Wohneinheit oder ein ganzes Haus kaufen oder verkaufen? Heid-Im­mo­bi­li­en­be­wer­tung steht Ihnen dabei mit Rat und Tat zur Seite.

Wir unterstützen Sie gerne im Vorfeld mit diesen Leistungen durch neutrale und fachkundige Gutachter:

Wir beraten Sie kostenlos, gleich anrufen:
0800 - 909 02 82 oder Formular abschicken:
Logo von ausgezeichnet.org

André Heid
Zertifizierte Im­mo­bi­li­en­gut­ach­ter nach DIN 17024 von TÜV, DEKRA, IHK, DIA und EIPOS bewerten Ihre Immobilie sachgemäß.